面对台风,我们能做的其实有很多 | 风眼观察

2018 年 9 月 17 日 凤凰科技

iFeng科技
这是《风眼》栏目第 111 篇原创报道



      


出品 《风眼》深度报道组 凤凰网科技 凤凰新闻客户端

作者 杨雪 主编 于浩 微信编辑 刘考坤


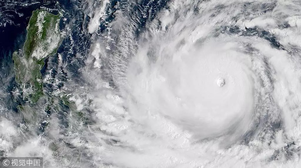
22号台风“山竹”在9月16日下午登陆我国珠三角地区,所及之处,满目疮痍。


在社交网络上,你应该已经感受到这次台风的威力了。尽管官方目前还未给出具体的伤亡数据,尽管“山竹”击破高楼玻璃、卷起沿海的巨浪,但客观而言,广东省政府在此次预防台风的措施上已经有了很大进步。


彩云天气CEO袁行远评价说,“我觉得政府已经很努力了,科学也给出了很准确的预测,这次属于比较完美的防台(台风)范本。”


在“山竹”登陆四天前,气象部门和气象服务类公司就已经对其进行了预测——事后看来,预测的时间和路径已经十分精准。


9月12日,彩云天气就已经给出了对于“山竹”登陆的预测:


自9月7以来,山竹的强度飞速猛涨,短短几天就已经从台风级加强到超强台风级……接下来它将继续向西偏北移动,大约在16日晚间左右在广东中西部沿海登陆。


由于目前距离山竹登陆还有较长的一段时间,我们还需要关注的是,它究竟会怎样通过菲律宾吕宋岛,如果它正面登陆吕宋岛,那么它的强度将会有很大幅度的减弱。但如果台风中心避开了吕宋岛,那它就将以非常高的强度登陆我国。



精确到分钟的天气预测


在预测了“山竹”的轨迹和登陆时间之后,事情就变得没有那么复杂了。广东省政府在很多的时间内做出了一系列响应:撤离十五万人员,火车站、机场全部停运,召集渔船回港、实时预警以及停运、停课、停业等通知……


这得益于两件事:中国的气象数据正在变得越来越开放,AI正在气象预测服务中扮演愈发重要的角色。

            

“山竹”席卷菲律宾


长期以来,中国的气象预报的发布权被气象部门垄断,他们免费提供气象发布服务,但同时也不会对外公开气象数据。这种免费的公益服务导致中国的气象服务发展了 30 年,却仍处于起步阶段,没有形成规模,更没有形成产业。


这一现状得以改变是 2015 年。2015 年 6 月,气象局颁布 27 号令:开放中国气象信息,并于 2020 年完全放开,鼓励民营资本和气象局合作。


2015 年的 9 月 29 日,中国气象数据网正式上线对外服务,该站将成为中国气象局对社会开放基本气象数据和产品的共享门户。


这意味着,民营组织可以公开使用这些气象数据了。


传统的天气预报方式,通常是分析雷达卫星收集的图片,然后人工总结规律与经验。小时候《新闻联播》之后的天气预报环节的数据就是这样得出的。“局部天气有阵雨”——甚至没有人解释清楚哪里是局部,阵雨究竟多大雨。


如何把预报做的更精确——从城市精确到地点,从天精确到分钟,从区域精确到经纬度?传统的解决方案是写规则。假设风往西边吹,那么人为推测出雨也可能往西边移动。很明显,这个规则有点过时,而且精确程度十分有限。


袁行远的解决方案是利用计算机和图像识别技术的完成更精确的算法,“把雷达探测到的图像交给计算机,让计算机判断判断云的移动和走势,它会计算出云层一定的位置和速度,根据这个结果人就能判断什么时候雨会到达。”


技术变革给天气预测带来显著效果,结合图像识别与机器学习之后,预测天气的精确概率相比人工操作提高了 20%。


AI 愈发重要。另一家气象服务公司墨迹天气甚至已经开始让AI 撰写天气预报。



数千亿元的蓝海市场


当然,天气数据的意义不止在于指导人们出门是否带伞或者台风天不要出门,其更重要的使命是为企业提供决策依据。


相关统计表明,流通类商品销售额的 65% 取决于天气,因为天气直接影响人的生理、心理,支配他们的消费行为。


如果广东的超市们能够明白天气对日常生活的影响有多大,就不会在台风来临前的那天被市民抢购一空。


弗里德黑姆·施瓦茨在其著作《气候经济学》中指出,天气在全世界五分之四的经济活动中扮演着决定性的角色。


以一次普通的降雨为例:滴滴出行在降雨期间的动态路线规划、饿了么配送员的配送任务安排,都会参考天气数据。

            


企业们通常希望这些气象服务公司能给他们提供更多:以一个船舶运输公司为例,他们不仅想知道恶劣天气什么时候结束,而是希望气象公司能够给出具体的应对方案,一趟船开出去的风险是多大?如果有台风如何绕着走?绕着走的路线应该怎样设计?概言之,根据天气预报然后给出相应天气的服务方案有更具潜力的商业前景。


在这方面,美国成熟的气象市场为中国创业者们提供了可供模仿的范例。


美国活跃着 350 家左右的商业气象服务公司,整个市场超过 60 亿美元。气象数据不仅能够被应用于种植业、畜牧业、交通运输业,金融保险以及服装行业等都对精确的气象预测有需求。


中国的气象服务公司也已经开始了类似的商业化探索。比如墨迹天气,已经在根据天气预报给出相应的服务方案。


墨迹天气和饿了么、美团外卖、达达等企业合作,双方打通数据建立配送模型,基于历史外卖配送数据、最新短时预报天气数据等制定未来2小时的配送计划,从而降低天气因素造成的外卖订单损失并对物流运力实施动态调节。


这只是案例之一。随着气象预测精准度的提升,气象数据的应用场景有越来越多想象空间。墨迹天气商业化负责人那任昕表示,网约车、车联网、物流、保险、旅游、航空以及电力行业、甚至是政府单位等都有对气象服务的需求。


显而易见,气象服务是一个巨大产业而且是一片蓝海:根据中国气象服务协会预测,到2025年中国气象服务市场规模将达到数千亿元。 


蓝驰创投的合伙人朱天宇强调:中国气象服务市场的主要挑战不在于数据,更关键的是如何把数据应用到场景当中去,“气象是先天大数据,是最早应用大型设备的领域。数据处理能力强一定有优势,但是对于中国气象服务创业者来说,更关键的是怎么将数据结合到商业需要的场景中,怎么找到真正找到为数据付费的价值点,怎么把数据呈现出的商业价值包装成为有人愿意买单的产品或服务——这才是更核心的挑战。”


想看深度报道,请微信搜索“iFeng科技”。

更多一手新闻,欢迎下载凤凰新闻客户端订阅凤凰网科技。


由于微信限制

我们最多只能添加3位作者

所以我们委托“凤凰网科技频道”代收打赏

稍后会转给原作者

你的每一分喜欢

还会成为我们评优的考核标准

谢谢


登录查看更多
0

相关内容

专知会员服务
131+阅读 · 2020年7月10日
深度学习可解释性研究进展
专知会员服务
103+阅读 · 2020年6月26日
【CVPR2020-北京大学】自适应间隔损失的提升小样本学习
专知会员服务
85+阅读 · 2020年6月9日
【复旦大学-SP2020】NLP语言模型隐私泄漏风险
专知会员服务
25+阅读 · 2020年4月20日
新时期我国信息技术产业的发展
专知会员服务
71+阅读 · 2020年1月18日
【德勤】中国人工智能产业白皮书,68页pdf
专知会员服务
310+阅读 · 2019年12月23日
印度首次挑战登月告败,一步之遥≈多大差距?
人工智能学家
4+阅读 · 2019年9月7日
2017企业阵亡最全名单公布
小饭桌
6+阅读 · 2018年2月28日
在成为新晋网红之后,AI却寒冬将至
拓扑社
15+阅读 · 2017年12月20日
目标检测也就是这么简单
计算机视觉战队
11+阅读 · 2017年10月20日
我们为什么需要一个时序数据库?
大数据杂谈
4+阅读 · 2017年7月6日
Arxiv
26+阅读 · 2020年2月21日
Knowledge Representation Learning: A Quantitative Review
SlowFast Networks for Video Recognition
Arxiv
19+阅读 · 2018年12月10日
Arxiv
24+阅读 · 2018年10月24日
Arxiv
7+阅读 · 2018年5月23日
Arxiv
14+阅读 · 2018年4月18日
Arxiv
3+阅读 · 2018年4月10日
Arxiv
10+阅读 · 2018年2月4日
VIP会员
相关VIP内容
专知会员服务
131+阅读 · 2020年7月10日
深度学习可解释性研究进展
专知会员服务
103+阅读 · 2020年6月26日
【CVPR2020-北京大学】自适应间隔损失的提升小样本学习
专知会员服务
85+阅读 · 2020年6月9日
【复旦大学-SP2020】NLP语言模型隐私泄漏风险
专知会员服务
25+阅读 · 2020年4月20日
新时期我国信息技术产业的发展
专知会员服务
71+阅读 · 2020年1月18日
【德勤】中国人工智能产业白皮书,68页pdf
专知会员服务
310+阅读 · 2019年12月23日
相关资讯
印度首次挑战登月告败,一步之遥≈多大差距?
人工智能学家
4+阅读 · 2019年9月7日
2017企业阵亡最全名单公布
小饭桌
6+阅读 · 2018年2月28日
在成为新晋网红之后,AI却寒冬将至
拓扑社
15+阅读 · 2017年12月20日
目标检测也就是这么简单
计算机视觉战队
11+阅读 · 2017年10月20日
我们为什么需要一个时序数据库?
大数据杂谈
4+阅读 · 2017年7月6日
相关论文
Arxiv
26+阅读 · 2020年2月21日
Knowledge Representation Learning: A Quantitative Review
SlowFast Networks for Video Recognition
Arxiv
19+阅读 · 2018年12月10日
Arxiv
24+阅读 · 2018年10月24日
Arxiv
7+阅读 · 2018年5月23日
Arxiv
14+阅读 · 2018年4月18日
Arxiv
3+阅读 · 2018年4月10日
Arxiv
10+阅读 · 2018年2月4日
Top
微信扫码咨询专知VIP会员